Idag vaknade jag 05.30 för att hinna äta frukosten jag handlade igår – bröd, jos, bananer och ost. Ett problem som uppstod var att jag inte hade en kniv att skära osten med, jag tuggade rakt av – det gick det med.
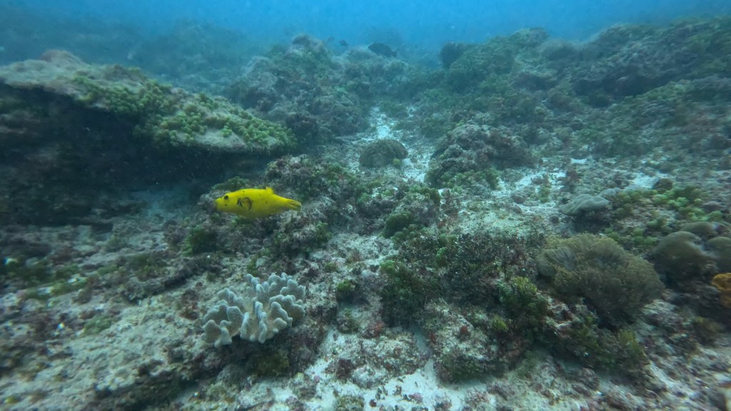
Jag, en av volontärerna och hon som driver marinprojektet ska dyka tillsammans och vi blir upplockade 07.15 på basecamp. Jag kommer dit lite tidigare för att packa ihop min mask och fenor. Väl på Jambiani strand har vi genomgång med instruktörerna och lastar i båten. Vi åker ut genom revet och utanför skuttar båten lite i vågorna. Vi är 4 st som har en instruktör och när vi gått ner tecknar han åt oss att vi ska gå upp igen – det var för strömt för att vi skulle kunna ta oss fram till revet, enklare att simma vid ytan och vi ska gå ner grundare. Väl nere öppnas en fantastisk värld av koraller (som mår bra). Jag har monterat färgade linser på goproskalet och ska nu för första gången testa det. Jag filmar en stund med och utan och det är en stooor skillnad – det som är grönt och mest brunt utan lins blir med lins mer blått och färgerna framträder. Fotona på sjöstjärnan är ett exempel.
Jag såg en blåfläckig stingrocka som lurade i sanden – den blev rädd när jag kom för nära och sprattlade iväg, jag blev nog lika rädd jag. Vid en korall såg jag en typ av sjögurka och den var ute och vandrade med små ben!? Det fanns många anemoner och små anemonfiskar som kikade fram ur dom. Det var lite svårt att filma då det var ganska strömt, det syns också på filmen hur tången svajar och att del fiskar vänder sig mot strömmen och har en del problem att vara stilla på samma ställe. Många bilder på koraller blev det.
På kvällen hade hotellet ordnat med en barbecue och de gulliga engelska kvinnor som driver hotellet sa att jag kunde sitta vid ett långbord de skulle ställa iordning för kvinnor om jag ville (de tyckte väl synd om mig som är ensam här). Det gjorde jag och det var trevligt, 2 kvinnor från England, 2 personer från Berlin och en tjej från Nederländerna. Det blev en tidig lördag då jag var trött efter dagen.































Fin film du gjort. Många kramar
GillaGilla
Tack ❤
GillaGilla
Vilken fantastisk värld där nere! Jag blir så imponerad av ditt mod, själv skulle jag inte ens våga tänka tanken…
GillaGilla
Det är helt fantastiskt, men mod vet jag inte. Jag är ju inte rädd..
GillaGilla
wow! Vilka fantastiska bilder😊jag har sagt det förr och gör det igen – vilket äventyr du är med om😀🐠
GillaGilla
Ja, ibland får jag nypa mig själv i armen 😉
GillaGilla
Häftigt! Spännande och läskigt!
GillaGilla
Eller hur 🙂
GillaGilla